Freotopia > Fremantle Park > Hutchison - attachments

Fremantle Park History: Attachments

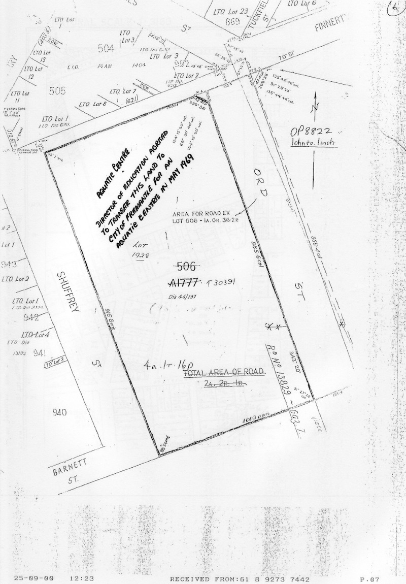
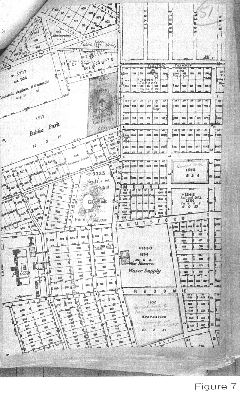
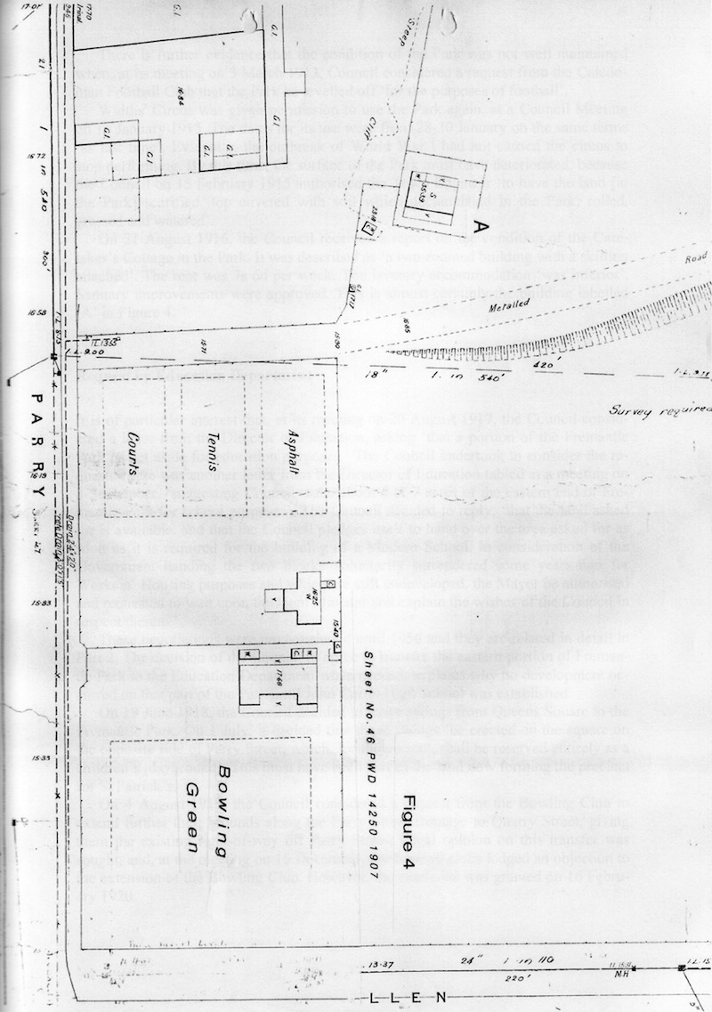
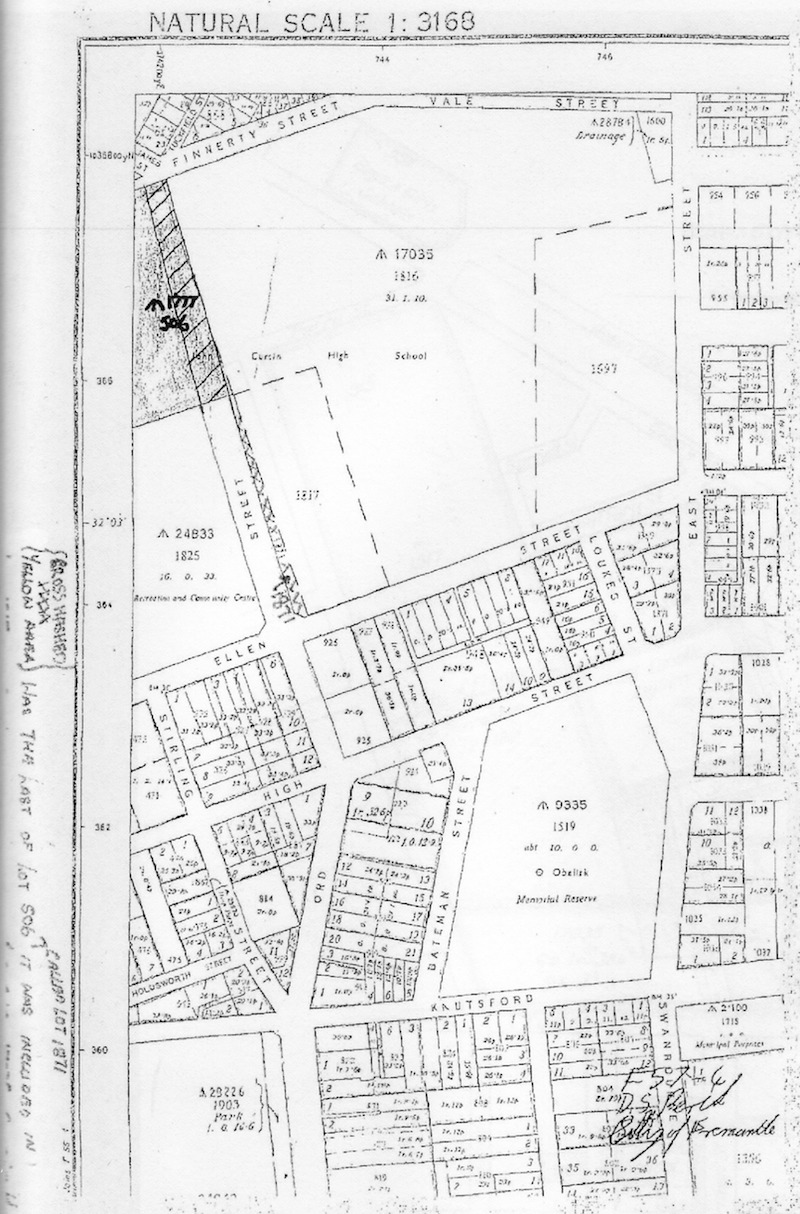
All of the attachments with David Hutchison's History of Fremantle Park, 2009, in the Conservation Management Plan prepared for the City of Fremantle, 2009, in the order in which they appear there


Garry Gillard