Freotopia > Fremantle Park > Hutchison (first version)

Fremantle Park

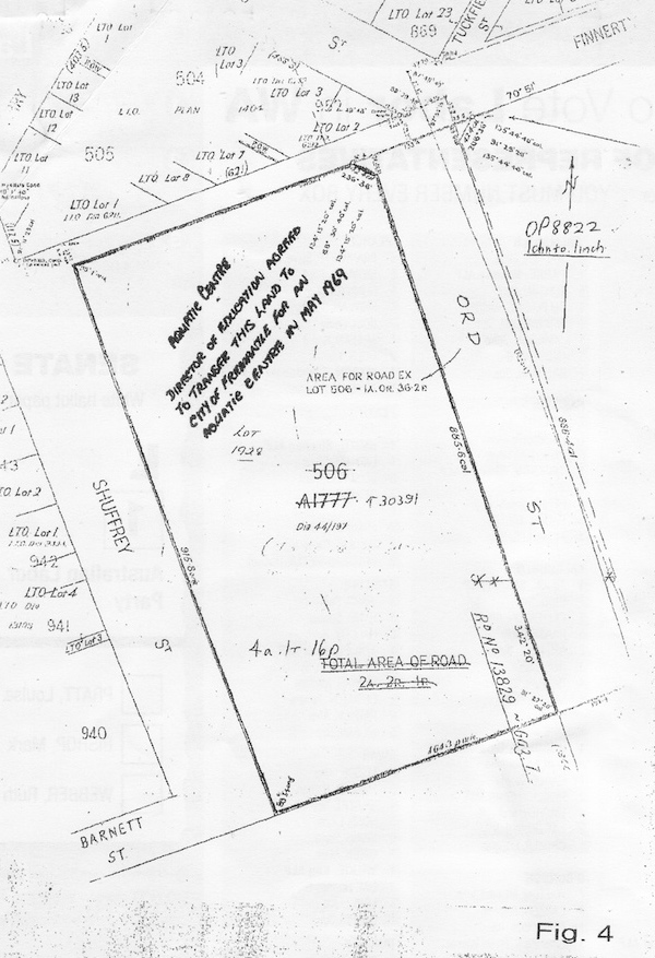
David Hutchison

A paper by historian David Hutchison, copyright 2005, first presented 2004, second edition 2008, reproduced here by permission of the author, who retains copyright.


Garry Gillard